Cyclone Ditwah : चक्रवाती तूफान ‘दित्वाह’ (Ditwah) भारत की धरती पर दस्तक देने वाला है। भारत के तटीय राज्यों तमिलनाडु, पुडुचेरी और आंध्र प्रदेश की ओर तेजी से बढ़ रहा है। यह तूफान शनिवार दोपहर को श्रीलंका से निकला, जिसमें कम से कम 153 लोगों की मौत हो गई और 191 लोग लापता हैं।चेन्नई समेत तमिलनाडु और पुडुचेरी के कई जिलों के लिए अगले तीन घंटों के लिए येलो अलर्ट जारी किया गया है।

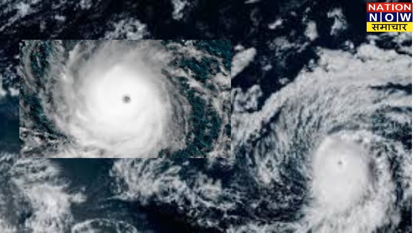
मौसम विभाग ने कहा है कि हल्की से मध्यम बारिश के साथ आंधी और बिजली कड़कने के आसार हैं। अभी कहां है तूफान ‘दित्वाह’? भारतीय मौसम विज्ञान विभाग (IMD) के ताजा अपडेट के अनुसार,चक्रवाती तूफान दित्वाह पिछले 12 घंटों से 05 किलोमीटर प्रति घंटे की धीमी रफ्तार से उत्तर की ओर बढ़ा है और यह दक्षिण-पश्चिम बंगाल की खाड़ी के ऊपर केंद्रित है। सुबह 2 बजे तक यह भारतीय तट वेदारण्यम से 90 किमी पूर्व-उत्तर-पूर्व, कराईकल से 90 किमी पूर्व-दक्षिण-पूर्व और पुडुचेरी से 160 किमी दक्षिण-दक्षिण-पूर्व में था।

मौसम विभाग के अनुसार,तूफान के नॉर्थ तमिलनाडु और पुडुचेरी के तटों के समांतर उत्तर की ओर बढ़ने की उम्मीद है। आज दोपहर और शाम तक यह तमिलनाडु-पुडुचेरी तट से क्रमशः 70 किलोमीटर और 30 किलोमीटर की न्यूनतम दूरी पर केंद्रित होगा। हालांकि, तूफान के लैंडफॉल (तट से टकराने) की संभावना कम है, लेकिन तट के इतना करीब से गुजरना भारी बारिश और तेज हवाओं का गंभीर खतरा पैदा कर सकता है।

तूफान दित्वाह का प्रभाव तमिलनाडु, पुडुचेरी और आंध्र प्रदेश में भारी बारिश हो रही है। तमिलनाडु, पुडुचेरी और आंध्र प्रदेश के कई जिलों में रेड अलर्ट जारी किया गया है। चेन्नई समेत तमिलनाडु और पुडुचेरी के कई जिलों के लिए अगले तीन घंटों के लिए येलो अलर्ट जारी किया गया है। नागपट्टिनम जिले के वेदारण्यम के पास कोडियाकराई बीच इलाके में तेज हवाओं के साथ भारी बारिश दर्ज की गई। समुद्री हलचल बढ़ी बंगाल की खाड़ी में आए इस तूफान के असर से पुडुचेरी में समुद्र में ऊंची-ऊंची लहरें उठने लगी हैं। तटीय इलाकों से लोगों को सुरक्षित निकालने का काम जारी है। पुलिस लोगों को समुद्र के किनारे से हटा रही है और आस-पास के इलाकों में नहीं जाने की चेतावनी जारी की गई है।
ये भी पढे़
















